رويترز قال محللون يوم الخميس إن جزرا كثيفة السكان في جنوب شرق آسيا مثل تايوان وهونج كونج واليابان والفلبين من المرجح ان تشهد أحداثا مناخية أكثر شدة في المستقبل.
وقال بحث نشرته مجموعة فيرسك مابلكروفت لتحليل المخاطر إن هذه الجزر معرضة للأخطار أكثر من غيرها بسبب ضخامة اعداد سكانها ولأن معظم اراضيها معرض للعواصف العاتية وارتفاع منسوب مياه البحار.
وقالت دراسة اجرتها نفس المجموعةالشهر الماضي إن ثمانية من عشر مدن هي الأكثر عرضة للخطر تقع في الفلبين مشيرة إلى ان لدى الفلبين "قدرات مؤسسية ومجتمعية ضعيفة لا تمكنها من ادارة الحوادث الطبيعية الخطرة والتعافي منها".
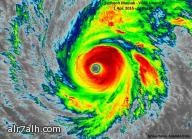
وقتل الاعصار هايان 3600 شخص في الفلبين عام 2013 فيما تتعرض البلاد لاكثر من 20 اعصارا كل عام.
وقتل ما يقرب من 20 ألف شخص في زلزال وأمواج مد عاتية (تسونامي) في جزيرة هونشو اليابانية عام 2011 .
وقال التقرير الجديد للمجموعة "على الرغم من عدم تأكيدها إلا ان توقعات تغير المناخ تشير الى ان الأعاصير ستكون أقل حدوثا في المنطقة لكنها ستكون أكثر شدة". وقالت الدراسة إن الظواهر المناخية مثل النينيو والنينيا ستفاقم هذه الاعاصير.
والنينيو ظاهرة مناخية تتميز بارتفاع درجة حرارة سطح المياه في المحيط الهادي وتحدث كل ما يتراوح بين أربعة و12 عاما ويمكن ان يتسبب النينيو في موجات جفاف في بقاع مختلفة من العالم وفيضانات في مناطق أخرى. أما النينيا فتحدث بسبب انخفاض درجة حرارة سطح الماء وتهدد كلتا الظاهرتين منطقة جنوب شرق آسيا.
وحاولت الدراسة الربط بين مخاطر تعرض البلاد لتغيرات مناخية متطرفة مثل موجات الجفاف وحرائق الغابات والعواصف والفيضانات والأخطار المتعلقة بتغير درجات الحرارة ومنسوب مياه البحار.
وقالت الدراسة إن الصين تتعرض لمخاطر أكبر بسبب زيادة التنافس على المياه في مجالات الصناعة والزراعة فيما عانت بعض مناطق شمال البلاد من تراجع سقوط الامطار.




